免責聲明
本網站僅提供窩客幫資訊參考平台, 並不涉入其中任何諮詢、交易。本網站對各該窩客幫相關資訊亦不作任何實質或形式上之審查。本網站中所載一切窩客幫的資訊、文字、照片、圖形 、產權、廣告內容、或其他資料(以下簡稱『內容』)。無論其為公開張貼或私下傳送,若有不實或違法情事,均為『內容』提供者之責任,窩客幫概不負責也不承擔任何法律責任。
大樹漁業-海鮮,彰化海鮮,海鮮宅配,海鮮批發,線西鄉海鮮宅配
  • 冬鏡
  • 冬鏡
  • 冬鏡
  • 冬鏡
  • 冬鏡
  • 冬鏡

  • 商品型號

  • 商品規格

    0號 ~ 三去價$220元 4尾包 100元
    1號 ~ 三去價$270元 3尾包
    2號 ~ 三去價$325 2尾包

分享到
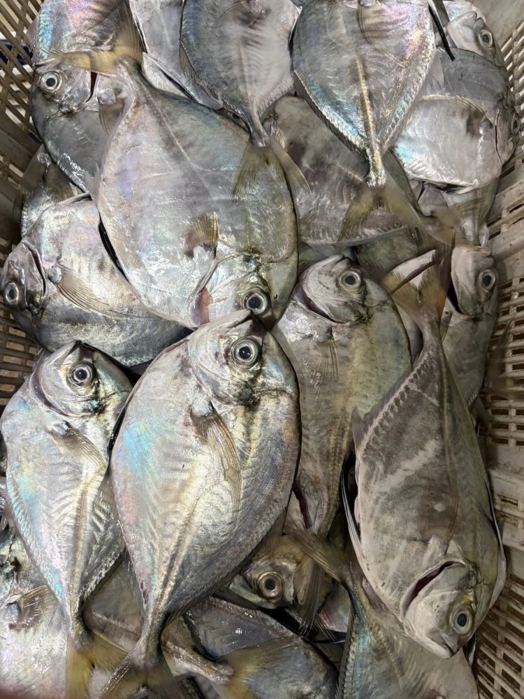
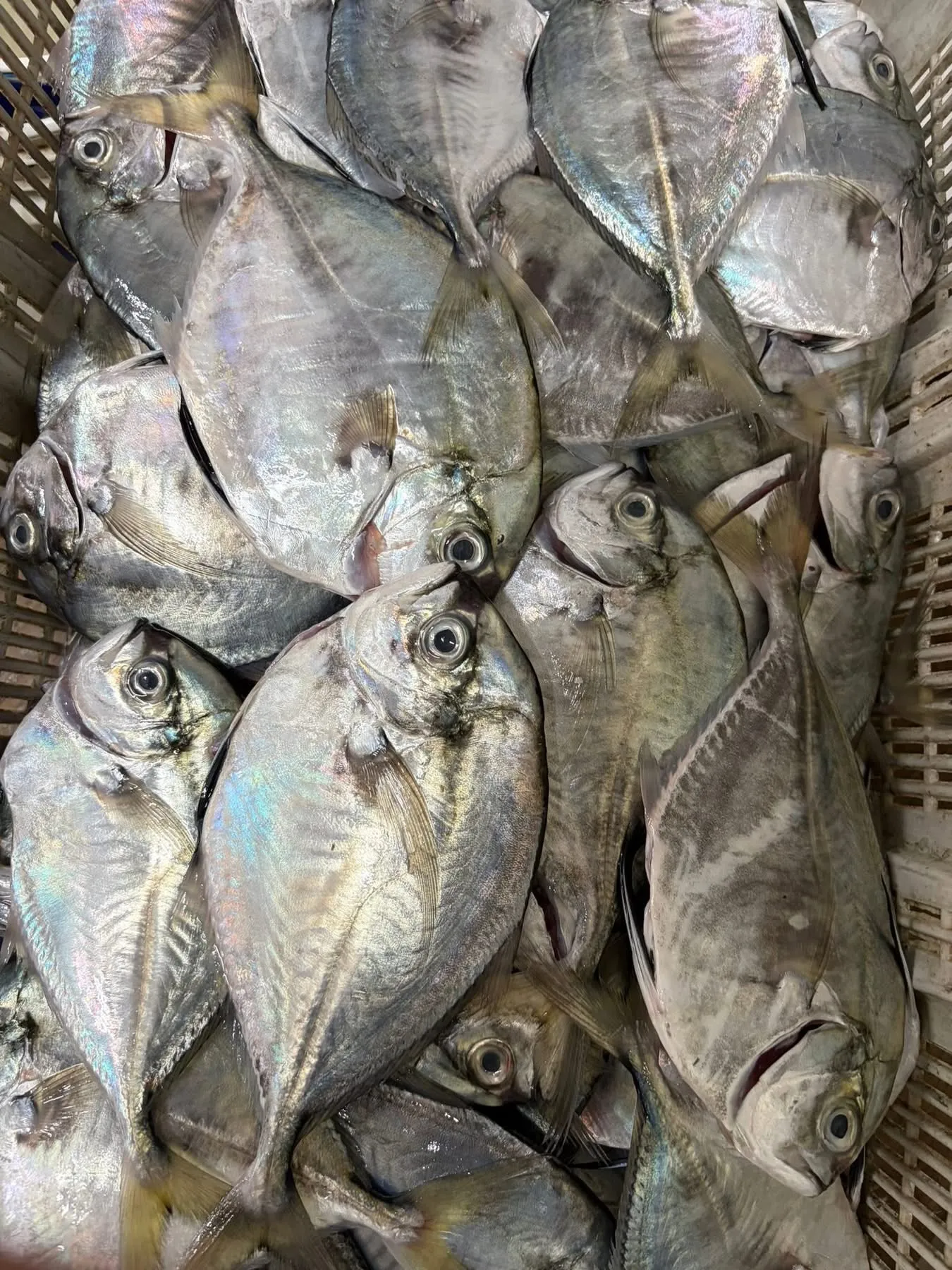
銅鏡、瓜仔魚主要生活在沿岸大陸棚區域,屬於底棲性魚類,在台灣各地沿海是常見的魚種,這種魚的肉質以細嫩著稱,非常適合用於清蒸或煮湯。 


🐟冬鏡(自捕)


0號 1斤200元三去價220元4尾包 一包100元
1號 1斤250元三去價270元3尾包
2號 1斤300元三去價325元2尾包


料理
最推薦清蒸,鋪上薑片、樹子、淋上熱油,或是煮湯,風味鮮


➡️@138mrhcm

歡迎加入官方帳號,私訊訂購

大樹漁業-海鮮,彰化海鮮,海鮮宅配,海鮮批發,線西鄉海鮮宅配
電話 : 0919015446 地址 : 彰化縣線西鄉塭仔村塭仔路210號

  • 服務項目

    海鮮食材冷凍美食

  • 特別關鍵字

    海鮮,彰化海鮮,海鮮宅配,海鮮批發,線西鄉海鮮宅配,線西鄉海鮮,彰化海鮮宅配,彰化海鮮批發,線西鄉海鮮批發,海鮮行,彰化海鮮行,線西鄉海鮮行,水產行,彰化水產行,線西鄉水產行,買海鮮,彰化買海鮮,線西鄉買海鮮,午仔魚批發,彰化午仔魚批發,線西鄉午仔魚批發,黑鯛批發,彰化黑鯛批發,線西鄉黑鯛批發,白力魚批發,彰化白力魚批發,線西鄉白力魚批發,狗母梭批發,彰化狗母梭批發,線西鄉狗母梭批發,馬鞭魚批發,彰化馬鞭魚批發,線西鄉馬鞭魚批發,現撈海鮮,彰化現撈海鮮,線西鄉現撈海鮮,海鮮大盤商,彰化海鮮大盤商,線西鄉海鮮大盤商,海鮮訂購,彰化海鮮訂購,線西鄉海鮮訂購,水產,彰化水產,線西鄉水產,買水產,彰化買水產,線西鄉買水產,水產批發,彰化水產批發,線西鄉水產批發,現撈水產,彰化現撈水產,線西鄉現撈水產,水產大盤商,彰化水產大盤商,線西鄉水產大盤商,水產宅配,彰化水產宅配,線西鄉水產宅配,水產訂購,彰化水產訂購,線西鄉水產訂購,漁貨,彰化漁貨,線西鄉漁貨,買漁貨,彰化買漁貨,線西鄉買漁貨,漁貨批發,彰化漁貨批發,線西鄉漁貨批發,現撈魚貨,彰化現撈魚貨,線西鄉現撈魚貨,漁貨大盤商,彰化漁貨大盤商,線西鄉漁貨大盤商,魚貨宅配,彰化魚貨宅配,線西鄉魚貨宅配,漁貨訂購,彰化漁貨訂購,線西鄉漁貨訂購,海鮮供應商,彰化海鮮供應商,線西鄉海鮮供應商,水產供應商,彰化水產供應商,線西鄉水產供應商,漁貨供應商,彰化漁貨供應商,線西鄉漁貨供應商,冷凍海鮮宅配,彰化冷凍海鮮宅配,線西鄉冷凍海鮮宅配